发布时间:2025-09-06 00:36:07 人气:
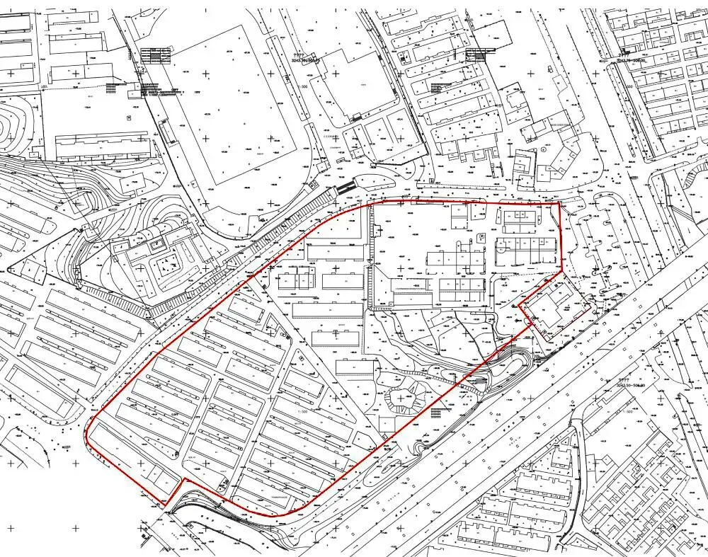
9月3日,义乌市北苑街道建设三村房屋拆除物处置信息公布,挂牌价格191万元。

受委托,向社会公开处置北苑街道建设三村房屋拆除物,共计1个标的。本次处置需拆除房屋总建筑面积约59672.64平方米,其中钢混结构建筑面积约53716.19平方米,砖混结构建筑面积约5843.66平方米,钢棚建筑面积约112.79平方米。
拆除范围仅限地上建筑物、构筑物及其附属设施,不包含项目范围内一切地面道路等公共设施、地下管网管线、电缆等隐蔽工程设施、设备;也不包含电缆、变压器、配电柜、充电桩、太阳能光伏板及支架、苗木、地下管网管线等配套设施设备以及可移动的机器、家具、家电等,具体详见评估报告。
竞得人需负责出让方移交建筑物的拆除、清运、处理、消纳,所需费用由竞得人承担。标的物交付标准以房屋所有权人腾空并交付出让方验收后的现状为准,评估报告仅供参考,出让方对标的物不负保管责任(存在偷盗发生的可能)。

工期要求:30日历天。竞得人在合同签订后根据出让方安排开始移交。根据房屋腾空情况由出让方确定移交时间,竞得人需在移交后30日历天内完成拆除任务(含清运)并经出让方验收合格。
现场不允许粉碎制砂,拆除现场需做到文明安全施工,要有防尘降噪措施,并设置标准围挡加装喷淋设施,围挡高度不少于2米,相关拆除及运输费用等需由竞得人自行承担。标的物销售产生的税费由竞得人支付。
验收标准为本标段内所有的建筑物、构筑物拆除、清运、处理垃圾消纳至原地面标高(不得破坏路面)。